Extras
Zona de montaña, Zona rural, Colegios
Se venden varias parcelas rústicas con diversas características y ubicaciones, ideales para inversión, desarrollo agrícola o disfrute en un entorno natural privilegiado.
Detalle de las parcelas:
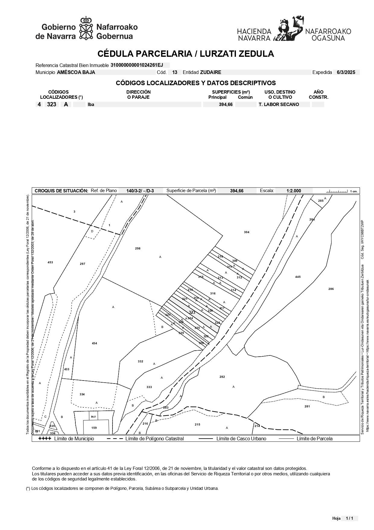
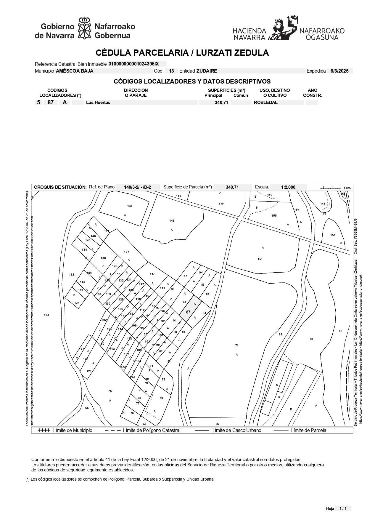
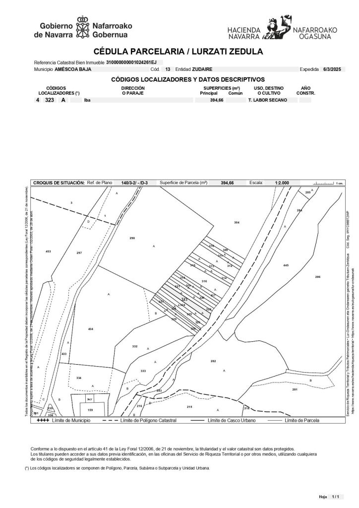
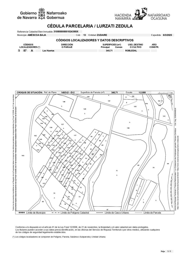
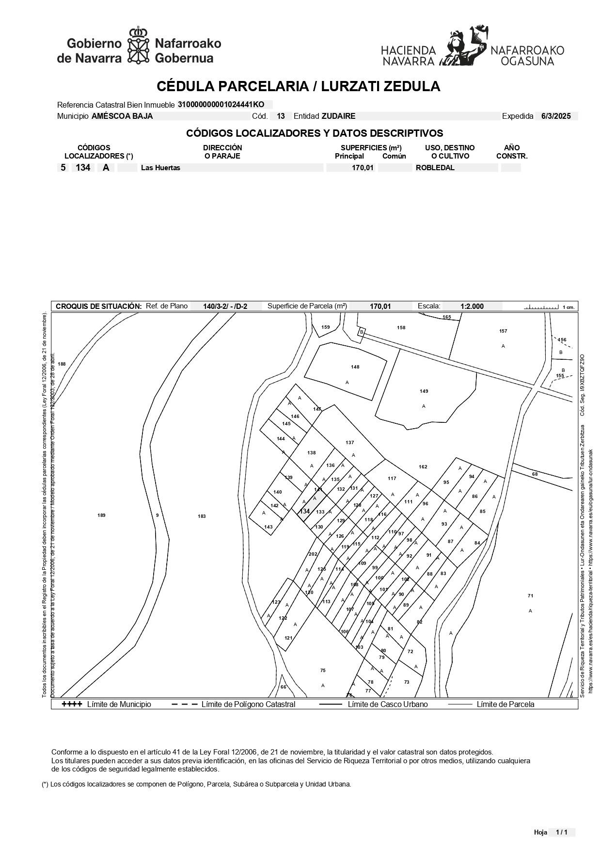
Ubicación: Zudaire
SITNA: 5-134
Referencia catastral: 310000000001024441KO
Superficie: 170,01 m²
Precio de venta: 965€
SITNA: 5-87
Referencia catastral: 310000000001024395IX
Superficie: 340,71 m²
Precio de venta: 1.730€
SITNA: 5-174
Referencia catastral: 310000000001024480XD
Superficie: 4.858,83 m²
Precio de venta: 13.602€
SITNA: 4-226
Referencia catastral: 310000000001024186LP
Superficie: 4.507,11 m²
Precio de venta: 12.614€
SITNA: 4-222
Referencia catastral: 310000000001024182GY
Superficie: 1.682,40 m²
Precio de venta: 3.866€
SITNA: 4-353
Referencia catastral: 310000000001024290MF
Superficie: 591,35 m²
Precio de venta: 1.959€
SITNA: 4-323
Referencia catastral: 310000000001024261EJ
Superficie: 394,66 m²
Precio de venta: 1.845€
Información Adicional:
Todas las parcelas cuentan con su correspondiente referencia catastral.
Ubicaciones variadas que ofrecen diferentes posibilidades de uso y disfrute.
Suelos con aptitudes para diversos cultivos y actividades al aire libre.
➡ Información legal:
➡ INFORMACIÓN LEGAL
▪ Información meramente orientativa, sin valor contractual.
▪ Superficies aproximadas, con carácter descriptivo.
▪ Es posible que algunas imágenes hayan sido modificadas con IA o estén directamente generadas por IA.
▪ El precio de venta anunciado no incluye los gastos e impuestos a cargo del comprador derivados de la compraventa (Notaría, Registro, ITP o IVA, AJD, gastos financieros u otros).
▪ La transmisión podrá estar sujeta a IVA (21%) o a ITP (6%), en función de la naturaleza urbanística del inmueble y de la condición del transmitente conforme a la normativa fiscal vigente. De ello dependerá el PRECIO FINAL.
A modo orientativo en Navarra:
▪ Notaría y Registro: 1-2%.
▪ AJD: aprox. 0,5-1%.
Más información oficial:
▪ https:// www. navarra.es/nr/rdonlyres/182cd97b-eeb7-4586-8a0b-aeb8e38aba60/0/leyiva.pdf
▪ https:// navarra.es/home_es/Gobierno+de+Navarra/Organigrama/Los+departamentos/Economia+y+Hacienda/Organigrama/Estructura+Organica/Hacienda/Informacion+Fiscal/Normativa+Fiscal/Impuesto+sobre+Transmisiones+Patrimoniales+y+AJD/
Zona de montaña, Zona rural, Colegios
|
Consumo de Energía kWh/m2 Año |
Emisiones CO₂ Kg CO₂/m2 Año |
|
Calle San Antón 182, 31272 Améscoa Baja, Navarra, España