Extras
Zona de montaña, Zona rural, Colegios
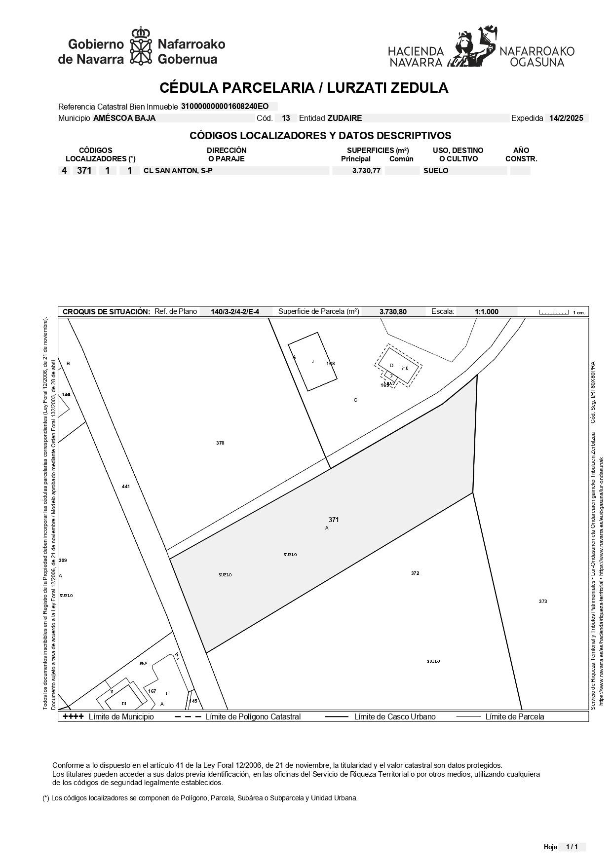
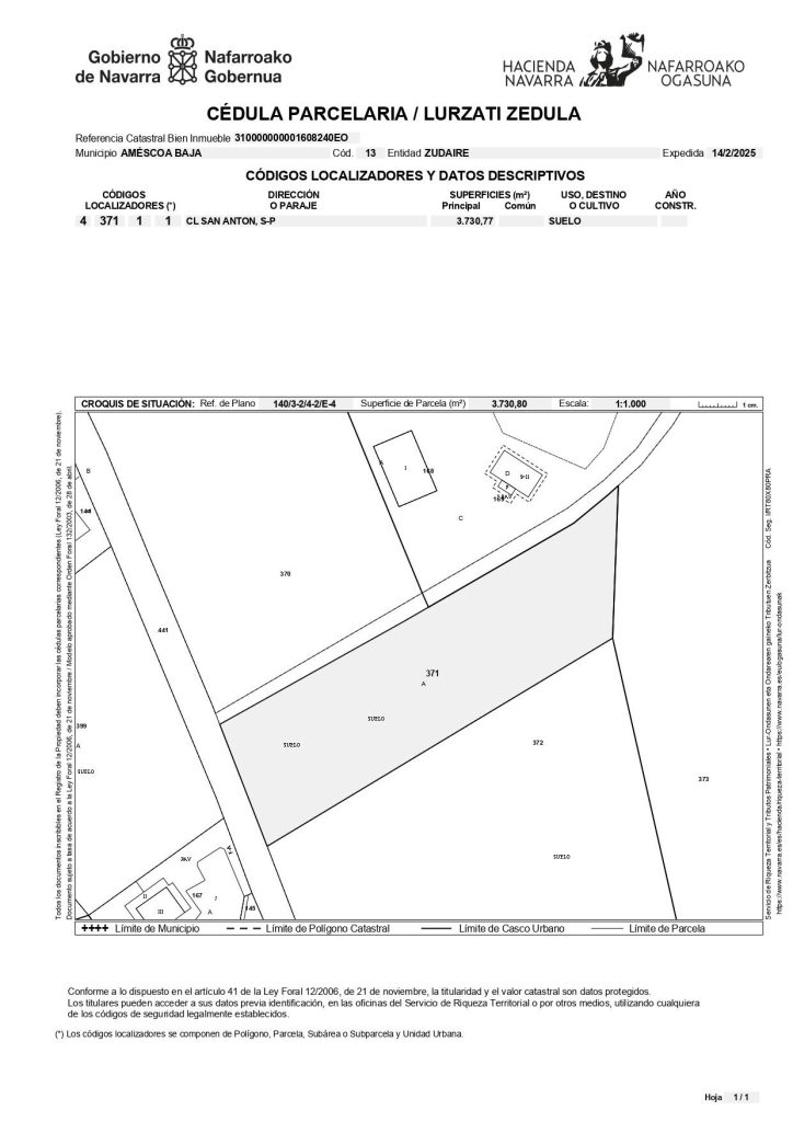
Se vende terreno urbanizable industrial de 3.730,80 m² en Zudaire, Navarra.
Ubicación Estratégica:
Situado en la carretera general de acceso al pueblo, este terreno goza de una ubicación privilegiada con fácil acceso y excelente visibilidad. Su cercanía a la gasolinera añade un extra de comodidad y accesibilidad para cualquier actividad industrial que se desarrolle.
Descripción:
El terreno, completamente llano y de forma rectangular, ofrece una superficie óptima y de fácil aprovechamiento para la construcción de naves industriales, almacenes o cualquier otro tipo de edificación destinada a actividades industriales.
Ideal para Desarrollo Industrial:
Este terreno es una oportunidad única para inversores y empresas que buscan expandirse o establecerse en una zona con gran potencial de desarrollo.
Datos Adicionales:
Referencia Catastral del Bien Inmueble: 310000000001608240E0
Municipio: Améscoa Baja, población Zudaire.
➡ INFORMACIÓN LEGAL
▪ Información meramente orientativa, sin valor contractual.
▪ Superficies aproximadas, con carácter descriptivo.
▪ Es posible que algunas imágenes hayan sido modificadas con IA o estén directamente generadas por IA.
▪ El precio de venta anunciado no incluye los gastos e impuestos a cargo del comprador derivados de la compraventa (Notaría, Registro, ITP o IVA, AJD, gastos financieros u otros).
▪ La transmisión podrá estar sujeta a IVA (21%) o a ITP (6%), en función de la naturaleza urbanística del inmueble y de la condición del transmitente conforme a la normativa fiscal vigente. De ello dependerá el PRECIO FINAL.
A modo orientativo en Navarra:
▪ Notaría y Registro: 1-2%.
▪ AJD: aprox. 0,5-1%.
Más información oficial:
▪ https:// www. navarra.es/nr/rdonlyres/182cd97b-eeb7-4586-8a0b-aeb8e38aba60/0/leyiva.pdf
▪ https:// navarra.es/home_es/Gobierno+de+Navarra/Organigrama/Los+departamentos/Economia+y+Hacienda/Organigrama/Estructura+Organica/Hacienda/Informacion+Fiscal/Normativa+Fiscal/Impuesto+sobre+Transmisiones+Patrimoniales+y+AJD/
Zona de montaña, Zona rural, Colegios
|
Consumo de Energía kWh/m2 Año |
Emisiones CO₂ Kg CO₂/m2 Año |
|
Calle San Antón 7a, 31272 Améscoa Baja, Navarra, España
Utilizamos cookies propias y de terceros para analizar el uso del sitio web y mostrarte publicidad relacionada con tus preferencias sobre la base de un perfil elaborado a partir de tus hábitos de navegación (por ejemplo, páginas visitadas). Política de cookies.